목차
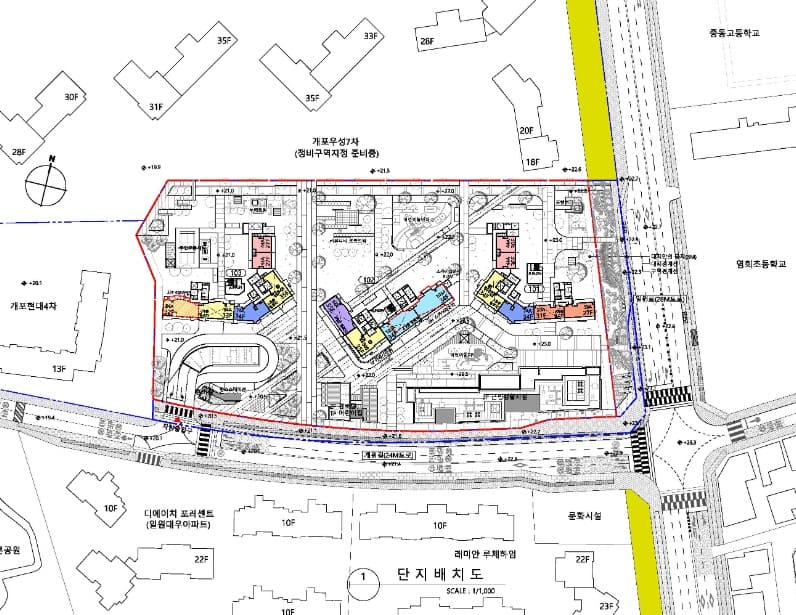
이번에는 서울 강남구 일원동 615-1 일대 일원 개포한신 아파트 재건축 현황 및 정보를 정리해서 알려드리겠습니다.
1. 개포한신 재건축





| 사업구분 | 재건축 |
| 정비구역 명칭 | 일원개포한신아파트 재건축사업 |
| 대표지번 | 서울특별시 강남구 일원동 615-1 일대 |
| 정비면적 | 20,876m2 (약 6,315평) |
| 토지등소유자 | 359명 (조합원 359명) |
| 건축 용적률 | 299.99% |
| 층수 | 최고35층 / 지하3층 |
| 예상 세대수 | 총 480세대 조합원분양(예상) 359세대 일반분양(예상) 52세대 공공임대 66세대 보류지 3세대 |
일원개포한신 아파트는 서울시 강남구 일원동에 위치한 아파트입니다. 이 아파트는 재건축 사업을 진행 중이며, 기존 아파트를 최고 13→35층, 364→480가구 규모의 신축아파트로 재건축할 예정입니다.
2017년 7월 13일 정비구역으로 지정된 이후 정비사업 속도가 빠르게 진행되고 있습니다. 2018년 11월 5일 조합설립인가 되었고, 2021년 8월 6일 사업시행인가 되었습니다.
그리고 2022년 6월 11일 GS건설이 시공사로 선정되었고, 2022년 11월 8일 관리처분인가를 받았습니다. 2024년 5월 23일 480세대 신축에 대한 서울시 재건축 심의를 통과하였습니다. 현재는 재건축 구역 내 거주민 이주를 준비 중인 단계입니다.
일원개포한신 재건축 사업은 GS건설이 시공하는 자이 브랜드입니다. 2026년 착공을 시작 해 2029년 준공을 목표로 사업이 추진 중이라고 합니다. 향후 분양 일정과 세부 정보가 추가로 발표될 것으로 보입니다.
2023년 2월 조합원분양신청 시점을 기준으로 (추정)조합원분양가는 25평형은 약 17억 원으로, 34평형은 약 21억 원 정도로 산정됐습니다. 추정분담금은 25평형 3~4억원, 34평형 4~6억원 정도로 예상됩니다.
일반분양 시기와 금액은 아직 정확히 정해지지 않았습니다. 강남구 일원동은 분양가 상한제 적용 지역이므로 주변 시세의 80% 수준으로 일반분양 금액이 정해질 것으로 예상합니다.
일원개포한신 재건축 구역 주변에는 서울일원초등학교(서울 상위11%), 중동중학교(서울 상위 3%), 개원중학교(서울 상위 15%) 등이 있고, 대치동 대형 학원가도 가까워 교육환경이 매우 우수한 지역으로 평가됩니다.
이 일대는 지하철 3호선 대청역이 가까운 역세권으로 대중교통 이용이 편리하고, 강남 중심지와 가까워 편리한 교통 여건을 갖추고 있습니다. 수서역(SRT, 3호선)도 2정거장 거리입니다.
인근에는 삼성서울병원과 강남사회복지관, 강남우체국, 수서경찰서, 대형마트, 주민센터 등 편리한 생활환경 인프라를 갖췄습니다. 주변에 양재천과 탄천이 흐르고, 광평공원 등 녹지공간을 끼고 있어 쾌적한 자연환경도 누릴 수 있습니다.
2. 정비사업 진행단계
| 진행 단계 | 진행 날짜 | Remark |
| 정비구역지정 | 17.07.13 | |
| 추진위원회승인 | 18.01.25 | |
| 조합설립인가 |
18.11.05 | |
| 사업시행인가 |
21.08.06 | |
| 시공자선정 |
22.06.11 | GS건설 |
| 관리처분인가 | 22.11.08 | |
| 철거신고 | △ | 이주 및 철거 중 |
| 착공신고 | △ | 이주 및 철거 중 |
| 일반분양승인 | X | |
| 준공인가 | X | |
| 이전고시 | X | |
| 조합해산 | X | |
| 조합청산 | X |
3. 관련된 뉴스기사
| GS건설, 일원개포한신 재건축 시공권 확보 2022.06.15 15:16 | 한국주택경제 | 이혁기 기자 GS건설이 서울 강남구 일원개포한신아파트의 재건축사업 시공권을 따냈다. 올해 정비사업 누적액은 2조5,000억원을 돌파한 상황이다. 출처 https://www.arunews.com/news/articleView.html?idxno=28570 |
| 일원동 개포한신, 재건축 마지막 관문 통과 2020.11.09 11:34 | 매일경제 | 이희수 기자 서울 강남구 일원동 개포한신아파트가 재건축 사업의 마지막 관문을 통과했다. 9일 개포한신아파트 재건축 조합은 지난 8일 강남구청으로부터 관리처분계획 인가를 받았다고 밝혔다. 출처 https://www.mk.co.kr/news/realestate/10870276 |
| 서울 일원개포한신아파트 재건축 심의 통과, 35층·480세대 2029년 준공 2024-05-24 08:44 | 비즈니스포스트 | 류수재 기자 서울 강남구에 위치한 일원개포한신아파트가 35층, 480세대 공동주택으로 재건축된다. 서울시는 지난 23일 제2차 정비사업 통합심의위원회에서 강남구 일원동 개포한신아파트 재건축 정비사업 시행을 위한 건축·경관 변경심의안을 통과시켰다고 24일 밝혔다. 출처 https://www.businesspost.co.kr/BP?command=article_view&num=353255 |
4. 포스팅을 마치며
이번 포스팅은 서울특별시, 리치고, 부동산지인, 네이버부동산, 아실, 카카오맵 사이트를 참고하여 작성했습니다.
부동산 스터디 공부방 : 네이버 카페
재개발·재건축·교통망·지하철·아파트·임대업·부동산·경기도·서울시·인천시
cafe.naver.com
부동산 공부방
#재개발#재건축#교통망#지하철#아파트#임대업#분양#경기#인천#서울
open.kakao.com